5506 46 Avenue , Taber. T1G 2B1
Description
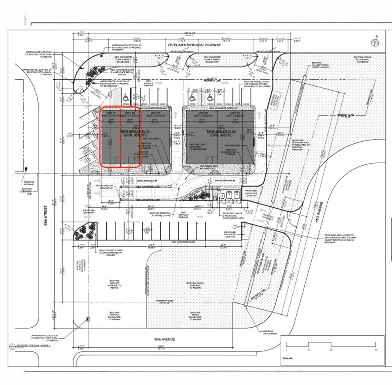
Prime opportunity to join a high-performing, newly constructed retail strip centre anchored by Starbucks and surrounded by established quick-service brands including Subway, Church’s Chicken, and Marble Slab. This 2,400 SF bay offers excellent exposure along HWY 3, a key commercial corridor with strong daily traffic counts and easy access. The space is currently in shell condition, providing flexibility for a wide range of retail, restaurant, or service-based users to design and build out to their specifications. The centre benefits from strong co-tenancy, drawing consistent customer traffic throughout the day from a mix of national and franchise operators. The site features ample parking, modern construction, and efficient layout suitable for a variety of uses. Situated on a 1.09 acre site with prominent visibility and access, this location presents a rare opportunity to establish a presence alongside nationally recognized brands in one of Taber’s primary retail locations. Available Space: 2,400 SF (1200 SF optional) Zoning: Highway Commercial Net Rent: Market Additional Rent: NNN Ideal for quick-service restaurant, café, medical, or service retail users seeking strong exposure and complementary tenancy.
Listing Information
For fast response, please email us via the “Inquiry Via Email” button with your contact information.
Listing MLS#:A2301874
5506 46 Avenue ,
Taber. T1G 2B1
Liang Commercial Real Estate
To purchase a business or property, please visit "Our People", to find a commercial experts who specialize in the type of business or property you are looking for, and agents speak your langauges and have office in your city.
This listing is presented by CENTURY 21 BRAVO REALTY, courtesy of "Bankers Commercial Real Estate" listing brokerage.
Google map



